Acequia Madre de Valero (San Antonio)

Acequia Madre
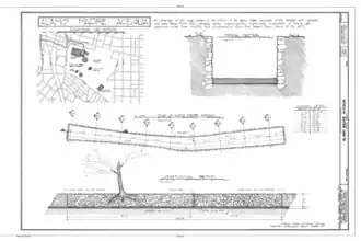
HAER drawing of the acequia
Acequia Madre de Valero is located in Texas
Acequia Madre de Valero
Acequia Madre de Valero
Acequia Madre de Valero is located in the United States
Acequia Madre de Valero
Acequia Madre de Valero
Acequia Madre de Valero (the United States)
Coordinates29°25′18″N 98°29′21″W / 29.42167°N 98.48917°W / 29.42167; -98.48917
Built18th century
ArchitectAntonio de Olivares
Payaya Indians
Pastia Indians
Part ofAlamo Plaza Historic District (ID77001425[1])
RTHL No.78
Significant dates
Designated CPJuly 13, 1977
Designated RTHL1968

Acequia Madre de Valero is an 18th-century agricultural irrigation canal built by the Spanish and located in the Bexar County city of San Antonio in the U.S. state of Texas. When Martín de Alarcón founded San Antonio for Spain by establishing San Antonio de Valero Mission in 1718, Franciscan priest Antonio de Olivares[2] and the Payaya and Pastia peoples, dug Acequia Madre de Valero by hand. It was vital to the missions to be able to divert and control water from the San Antonio River, in order to grow crops and to supply water to the people in the area. This particular acequia was the beginning of a much wider irrigation system. Acequia Madre de Valero ran from the area currently known as Brackenridge Park southward to what is now Hemisfair and South Alamo Street.[3] Part of it that is not viewable by the public runs beneath the Menger Hotel. The acequia was restored in 1968 and that same year was designated a Recorded Texas Historic Landmark.[4]

Acequia Madre de Valero was the initial phase of what became a 45-mile network put in place by the Franciscan priests to provide water for the missions and their agricultural endeavors. Part of this system is adjacent to the Johann and Anna Heidgen House at 121 Starr Street, and was a contributing factor in placing the house on the National Register of Historic Places listings in Bexar County, Texas in 2004. The acequia is lined with native limestone, a facet of Spanish engineering techniques. Some later stonework in the overall network was added by German immigrants. The full system involved placement of dams, canals and sluice gates. The complete network served residents of San Antonio until late in the 19th century.[5] The Texas Historical Commission placed the historic landmark plaque on a limestone block at the Hemisfair section of Acequia Madre de Valero.[6]

See also

References

  1. ^ "National Register Information System". National Register of Historic Places. National Park Service. November 2, 2013.
  2. ^ De Zavala, Adina; Flores, Richard R (1996). History and Legends of the Alamo and Other Missions in and Around San Antonio. Arte Publico Press. pp. 3, 4. ISBN 978-1-55885-181-8. ...indian people...
  3. ^ Dooley-Awbrey, Betty (2005). Why Stop?: A Guide to Texas Historical Roadside Markers. Taylor Trade Publishing. p. 453. ISBN 978-1-58979-243-2.
  4. ^ "Acequia Madre de Valero". Recorded Texas Historic Landmarks. Texas Historical Commission. Retrieved October 11, 2012.
  5. ^ "Johann and Anna Heidgen House" (PDF). National Register of Historic Places. Texas Historical Commission. Retrieved October 12, 2012.
  6. ^ "Acequia Madre de Valero (Main Irrigation Ditch of Valero Mission)". Waymarking. Retrieved October 12, 2012.

Media related to Alamo Madre Acequia at Wikimedia Commons