Cenothyla consobrina
| Cenothyla consobrina | |
|---|---|
| |
| Scientific classification | |
| Kingdom: | Animalia |
| Phylum: | Arthropoda |
| Class: | Insecta |
| Order: | Coleoptera |
| Suborder: | Adephaga |
| Family: | Cicindelidae |
| Genus: | Cenothyla |
| Species: | C. consobrina
|
| Binomial name | |
| Cenothyla consobrina (Lucas, 1857)
| |
| Synonyms | |
| |
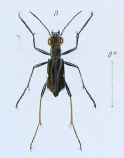
Cenothyla consobrina is a species of tiger beetle. This species is found in Ecuador and Peru.[1] The habitat consists of primary terra firma forests.
Adults are medium to large in size (11-14.7 mm), with the females usually larger than males. The dorsal surface is dark copper with brighter reddish-cupreous areas, becoming iridescent-green to blue.[2]
