History of Merseyrail

The history of Merseyrail dates back to the 19th century, with the original formation of the Mersey Railway, however, Merseyrail dates back to the 20th century, namely being set up by British Rail in 1969, it did not become a single network until 1977.[1]

When Merseyrail originally opened, there was 50 stations on the network, that has since expanded to almost 70.

The first Mersey Railways (19th Century–1930s)

The present Merseyrail network was merged from the lines of five former rail systems, those being

The centre of all these lines, Mersey Railway, opened and ran originally from Liverpool James Street to Green Lane, running through the 1886 Mersey Railway Tunnel, one of the world's first underwater railway tunnels.[3] In 1880's and 90's the network was expanded to include Liverpool Central (1890), Birkenhead Park railway station (1888), to connect with the Wirral Railway. This led to the expansion of the network to Rock Ferry railway station and the connection to the Chester Line in 1891.[4]

In 1903, the Mersey Railway was electrified, becoming the world's first full electrification of a steam railway.[3] This was followed by the electrification of the Lancashire and Yorkshire Railway line from the Liverpool Exchange railway station to Southport railway station, which took place in 1906. In 1937, the further electrification of the Wirral Railway Lines to New Brighton railway station and West Kirby railway station and allowed for through running into Liverpool via the Mersey Railway Tunnel.

The Illustrated London News featuring the opening of the Mersey Railway Tunnel

Creation of Merseyrail (1963–1977)

The Beeching axe in the early 1960s triggered widespread railway closures, targeting key routes like Liverpool - Southport, Liverpool - Wigan Wallgate, and the stations of Liverpool Exchange, Liverpool Central (High Level) and Birkenhead's Woodside station.

In response, Liverpool City Council proposed a contrasting strategy, advocating for the preservation of suburban services integrated into a new regional electrified rapid-transit network. This initiative aimed to link all lines via innovative tunnels under Liverpool and Birkenhead, facilitating seamless transportation across Merseyside. The Merseyside Area Land Use and Transportation Study (MALTS) supported this vision, leading to the establishment of Merseyrail[5] upon Liverpool City Council's proposal being adopted.[6] Merseyrail was conceived to streamline urban travel, ensuring convenient access to Liverpool Lime Street for long-haul routes by diverting local services underground in Liverpool's centre. Consequently, the government opposed closure of the Liverpool-Southport and Liverpool-Wigan Wallgate lines but approved the shutdown of multiple stations, consolidating Liverpool's rail operations primarily at Lime Street while curtailing the electrified section between Southport and Crossens in 1964.[7] Riverside Terminal Station at the Pier Head closed in 1971 due to declining transatlantic liner trade.

The formation of the Merseyside Passenger Transport Authority (later Merseytravel) in 1969 was tasked with overseeing local rail lines destined for inclusion in the newly envisioned Merseyrail network. Initially, Liverpool operated separate entities for electric and diesel-hauled lines. Lines for the new Merseyrail system were categorised into the 'Northern Line' (from Exchange and Central High Level), 'Wirral Line' (from Central Low Level), and 'City Line' (from Lime Street station). The Strategic Plan for the North West (SPNW) in 1973 envisioned comprehensive electrification and integration of lines into Merseyrail by 1991, including the Outer Loop, Edge Hill Spur, and connections to St. Helens, Wigan, and Warrington.[8]

Four construction projects were outlined to create the rapid-transit network:

  • Loop Line: Extending Wirral lines in a loop around Liverpool's city centre.
  • Link Line: A tunnel linking northern and southern lines under Liverpool city centre to form the Northern Line.
  • Edge Hill Spur: Reusing the recently closed 1830 Wapping Tunnel from Edge Hill to Central Station for eastern lines' access to the underground city centre.
  • Outer Rail Loop: A comprehensive suburban loop around Liverpool, split into northern and southern segments, with plans for a major six-platform underground station at Broad Green where the two loops and the St.Helens/Wigan line met.[9]

While the Loop Line and Link Line were completed, establishing the fully electrified Northern and Wirral Lines, the Edge Hill Spur and Outer Rail Loop projects were shelved later, leaving the City Line isolated. This hindered its integration into Merseyrail, maintaining local services into Lime Street and using platforms needed for long-haul routes. Efforts to complete these projects faced political hurdles,[10] and it wasn't until the 2015 electrification of Lime Street to Manchester and Wigan lines that progress was made, although the line to Warrington retained diesel traction. Merseytravel initially sponsored Merseyrail branding in stations and liveries on local services,[9] with the latter ending following British Rail's privatisation, allowing operators to adopt individual corporate liveries.

The loop line (Wirral Line) and link line (Northern Line) built under Liverpool in 1977

The major engineering works required to create the Northern and Wirral lines became known as the 'Loop' and 'Link' Project, consisting of two tunnels. The 'Loop' was the Wirral Line tunnel and the 'Link' the Northern Line tunnel, both under Liverpool's city centre. The main works were undertaken between 1972 and 1977. A further project, known as the Edge Hill Spur, would have integrated the City Lines into the city centre underground network. This would have meshed the eastern section of the city into the core underground city centre section of the electric network, releasing platforms at mainline Lime Street station for mid to long haul routes. The Edge Hill Spur was not completed due to budget cuts.

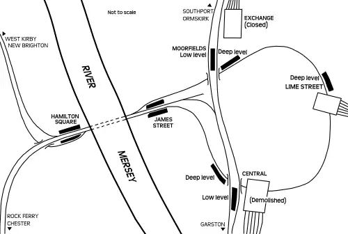
The Loop Line (Wirral Line)

The Loop Line is a single-track loop tunnel under Liverpool's city centre serving the Wirral Line branches. It was built to allow both greater capacity and a wider choice of destinations for Wirral Line users, which included the business and shopping districts of Liverpool city centre and the mainline Lime Street station. The loop extension offered direct mainline station access to Wirral residents after the decommissioning of the mainline Woodside terminal station in Birkenhead.

Trains from Wirral arriving via the original Mersey Railway tunnel enter the loop beneath Mann Island in Liverpool continuing in a clockwise direction through James Street, Moorfields, Lime Street and Central, returning to the Wirral via James Street station. The loop tunnel gave interchanges for passengers of the Wirral Line to the Northern Line at Moorfields and Central stations.[11]

A burrowing junction was constructed at Birkenhead Hamilton Square station, to increase traffic capacity on the Wirral Line by eliminating the flat junction to the west of the station. This included a new station tunnel at Hamilton Square to serve the lines to New Brighton and West Kirby.

The original Mersey Railway tunnel from James Street to Central station, in red, still exists. The Link line is shown in blue with the Loop line in green.

The Link Tunnel was designed to connect the north and south urban lines of Liverpool, creating a continuous north-south Northern Line. This line also formed the western section of a proposed double-track electrified suburban orbital line, the 'Outer Rail Loop', though budget cuts prevented eastern section construction.[12]

The Link Tunnel is a double-track tunnel connecting two lines: one running south from the city centre to Hunts Cross, and another running north to Southport, with branches to Ormskirk and Kirkby. This line provides direct access from Liverpool's north and south to the city centre's shopping and business districts via two underground stations, Liverpool Central and Moorfields, both of which interchange with the Wirral Line's Loop Line.

Liverpool Central's Northern Line underground station was originally the Mersey Railway terminus at Central Low Level. A section of the original 1880s tunnel between James Street and Central stations was repurposed for the Link Tunnel. The remaining section, between Paradise Street Junction and Derby Square Junction, is used as a rolling stock interchange between the Northern and Wirral Lines and as a reversing siding for Wirral Line trains terminating at James Street when the Loop Tunnel is inactive. This interchange tunnel section is not used for passenger traffic.[13]

A new track layout south of Liverpool Central eased connections between the former Mersey and Cheshire Lines railways. This allowed extending the Northern Line to Garston and later Hunts Cross. To achieve this, a tunnel was excavated, connecting the previously separate high and low-level tracks. Additionally, a new single-track tunnel was built for reversing trains towards Garston since the existing tunnel couldn't fit three tracks. Furthermore, engineers also built short tunnels to prepare for a potential future project (Edge Hill Spur) that would create a new connection without disrupting current services. This future junction would function similarly to the existing burrowing junction at Hamilton Square, allowing for increased capacity.[12]

Expanding the network (1977–present)

Electrification since 1977

Ever since the Loop and Link project concluded, Merseyrail has made expansions, electrification and new stations, which built on the greater integration and capacity provided by the new infrastructure.

Early electrification (1977–1978)

On 30 April 1977, Liverpool Exchange terminus station was closed as a part of the Link tunnel project to create Merseyrail's electrified north–south cross-rail Northern Line. This new tunnel under Liverpool's city centre enabled the creation of a continuous rail line, with nearby Moorfields underground station replacing Liverpool Exchange. Diesel trains from Wigan Wallgate station, unable to operate in the underground stations for safety reasons, were temporarily terminated at Sandhills station, the last surface station before the tunnel.

In 1978, the electrification of the line from Walton to Kirkby extended Merseyrail, creating a Northern Line branch terminus at Kirkby. This cut the northern Liverpool to Manchester route into two sections with different modes of traction, 750 V DC third rail electric on the Merseyrail network and diesel on the Northern Rail network. Consequently, the diesel service to Wigan was cut back to Kirkby, with Merseyrail and Northern Rail trains using opposite ends of the same platform for ease of interchange.

Also in 1978, the Northern Line was extended south from Liverpool Central under the Merseyrail brand, terminating at Garston instead of the former Gateacre terminus, which had been abandoned in 1972. The new line linked the tunnel into Central High Level with the lower-level tunnel entering Central Low Level. This connection was originally envisaged when the Mersey Railway was extended to Central from James Street in the 1890s, ensuring the two tunnels were on the same alignment. A short extension to Hunts Cross in 1983 enabled passenger interchange between Northern Line services, the Merseyrail City Line, and mainline services from Lime Street. The reopened line needed to cross the southern Manchester line via Warrington on the flat, which affected capacity.

Expanding from Rock Ferry to Hooton, Chester and Ellesmere Port (1985–1994)

Rock Ferry railway station had been a terminus for Wirral Line services since the Mersey Railway was extended there from Green Lane in 1891. Passengers for the lines to Chester and Helsby would change trains at this station from the electric service on to mainline services operated by steam and diesel. Rock Ferry became one of the terminals for the Merseyrail Wirral Line. In 1985 the line from Rock Ferry to Hooton was electrified and incorporated in the Wirral Line of Merseyrail, making Hooton a new terminus.

Hooton is a junction station where the line to Helsby via Ellesmere Port branches off the main Chester line. The line from Hooton to Chester was electrified in 1993, making Chester a terminus station of the Wirral Line. The line from Hooton to Ellesmere Port was electrified in 1994 and incorporated into the Wirral Line, making Ellesmere Port a terminus and interchange station.

Kirkby to Headbolt Lane

In 2023, Headbolt Lane replaced Kirkby as the terminus of the Kirkby/Headbolt Lane Line. This expansion to the network became the UK's first BEMU fleet in use for passenger services,[14] as there is no electrification past Kirkby, relying completely on batteries.[15]

New stations

The former Holly Park Football ground, where Liverpool South Parkway Station now stands
  • Bache, opened in 1983 as a replacement for the recently closed Upton-by-Chester, it was preferred over the old station as it was more convenient for the local shops.[16]
  • Bromborough Rake, opened in 1985, and was a part of the electrification to Chester and Ellesmere Port.
  • Overpool, opened in 1988 as a part of the electrification as well.
  • Eastham Rake, opened in 1995, presumed to be a late addition to the electrification works, however, there's nothing exact on why it opened.
  • Brunswick, opened in 1998 as a replacement for its past self, and also to fill the gap between St Michaels and the city.
  • Conway Park, opened in 1998 to serve as a more convenient station for passengers trying to get to Birkenhead town centre.
  • Liverpool South Parkway, opened in 2006 as an amalgamation of Allerton and Garston, also to serve Liverpool John Lennon Airport.
  • Maghull North, opened in 2017 to serve the new housing estate being built.[17]
  • Headbolt Lane, opened in 2023 to serve the local area and provide better transport links, also to part as a testing ground to ensure plans for a railway link to Skelmersdale can go ahead.[18]
  • Liverpool Baltic, earmarked for 2028, the station is the furthest along proposed railway station on the Merseyrail Network.[19]

Future development

A 1909 map showing some of the extensive rail lines around Liverpool

Since 2014, there has been plans to use bi-modal trains to expand the Merseyrail network on to existing former lines, or onto lines of significant links to Merseyside.[20] These plans have been experdited by the introduction of the Class 777, and the provisions to install batteries or pantographs to the units.[21][22]

In a rail strategy report released in 2020, there were plans suggested, pending further approval of stakeholders and funders, to increase rail connectivity to Shotton (and further to Wrexham), Skelmersdale (and further to Wigan), and Burscough Junction (and possibly further onto Preston) [23]

Possible network extension

Use of battery powered trains

There have been several discussions about using battery technology to expand the Merseyrail network, either by using already existing track, re-using old track, or laying new track, these plans include:[24][25][26]

  • Ellesmere Port to Helsby: the Liverpool City Region Combined Authority Long Term Rail Strategy document of October 2017 stated on page 37 that a trial of new Merseyrail battery trains will be undertaken in view to incorporate the 5.2-mile (8.4 km) stretch of track from Ellesmere Port to Helsby interchange station onto the Merseyrail network. A successful outcome may make Helsby one of the terminals of the Wirral Line replacing Ellesmere Port, with Stanlow and Thornton and Ince and Elton stations brought into the network.[24]
  • Ormskirk to Preston: the Liverpool City Region Combined Authority Long Term Rail Strategy document of October 2017 also mentioned on page 37 the incorporation of Preston onto the Merseyrail network by extending the Merseyrail Northern Line over 15 miles (24 km) from Ormskirk to Preston interchange station. The aim was to make Preston one of the terminals of the Northern Line, with Burscough Junction, Rufford and Croston stations brought onto the Merseyrail network. The document stated, "The potential use of battery powered Merseyrail units may improve the business case. This will be reviewed after the Merseyrail units have been tested for battery operation in 2020."[24]
  • Headbolt Lane to Wigan or Skelmersdale: Extending the Northern Line to Wigan Wallgate has been a long-term goal. Network Rail identified this extension as a route that would benefit from electrification and enable new patterns of passenger services to operate.[20][27][28] The Electrification Task Force prioritised the Kirkby to Salford Crescent electrification in 2015.[29][30] Hybrid battery trains make extending to Wigan feasible without costly electrification, using battery power from Headbolt Lane to Wigan.[31] There are also plans to add to the already existing line, in the form of re-opening Skelmersdale branch and running trains to Skelmersdale.[32][33][20][34][35][36][37][38]
  • Bidston to Wrexham: The line, currently ran by Transport for Wales, has been under its own battery trials with the Class 230 battery units.[39][40][41][42] However, Metro Mayor Steve Rotheram, has suggested Merseyrail Class 777 battery units could take over this line, and increase services between Liverpool and Wrexham.[43][44][21]
  • Hunts Cross to Warrington: The Strategic Plan for the North West (SPNW) envisaged in 1973 that the Liverpool to Warrington line would be electrified and integrated into the Merseyrail Northern Line by 1991, making Warrington Central a terminus.[8] In March 2015, the Electrification Task force placed electrifying the line from Liverpool to Manchester via Warrington Central in the Tier 1 priority category.[29] The Liverpool City Region's Long Term Rail Strategy has clear aspirations to extend the network to Warrington, using the introduction of the Class 777 trains as an enabler.[25]
  • Southport to Wigan: This line has been identified by Network Rail as a route where electrification in conjunction with extension of electrification from Ormskirk to Preston and reinstatement of the Burscough Curves would enable new patterns of passenger service to operate.[28] In March 2015, the Electrification Task force placed the electrifying of the line from Southport to Salford Crescent via Wigan in the Tier 1 priority category.[29][30]
Wigan Wallgate station
Preston station

Alongside all of these, Steve Rotheram has wishes to expand the network towards Runcorn and Warrington via Chester, in preparation with HS2 and Northern Powerhouse Rail interchanges.[45][46]

Reopening lines and track

Burscough Curves

The Burscough Curves were short rail chords linking the Ormskirk to Preston Line with the Manchester to Southport Line, enabling direct travel from Ormskirk and Preston to Southport. Regular passenger services ceased in 1962, and the tracks were removed. Reinstating the Burscough Curves would enable direct Preston-Southport and Ormskirk-Southport services, offering an alternative Liverpool-Southport route via Ormskirk. Network Rail has recommended further development of a strategy for their reinstatement.[28][47] In a parliamentary debate on 27 April 2011, the transport minister expressed interest in discussing the curves' reinstatement with former Southport MP John Pugh.[48]

The new Class 777 Merseyrail trains, capable of battery electric operation, may be considered for use on the Burscough Curves.[49] Merseytravel's Long Term Strategy puts the opening of the curves in Network Rail's CP7 control period.[50]

Edge Hill to Bootle
Liverpool2 Container terminal extension, which is served by the Bootle Branch line

The Canada Dock Branch line, also known as the Bootle Branch line,[51] is an unelectrified line running from Edge Hill Junction in the east of Liverpool in a curve to the container terminal to the north. Passenger trains were withdrawn in 1977, but it remains in constant use for freight to the Seaforth Container Terminal.[52] Proposals have been made to electrify and reopen the line to passengers, potentially reopening stations like Spellow, Walton & Anfield, Breck Road, Tuebrook, Stanley, and Edge Lane.[20]

Network Rail's March 2009 Route Utilisation Strategy for Merseyside[53] found that the benefits of new infrastructure on the Canada Dock Branch did not justify the investment. However, the Department for Transport's July 2009 rail electrification document stated that the route to Liverpool Docks would be electrified via overhead wires.[52] The document noted that electrifying this route would enable electric freight transport, creating an alternative access to Liverpool docks for electrically powered trains. Additionally, it was expected to enhance electrified connectivity to the planned freight terminal at Parkside near Newton-le-Willows.

Initial phases of electrification scheduled until 2016 did not list the line.[54] Local residents campaigned for increased rail transport of containers to ease road congestion and pollution, which could further boost rail traffic.[55] The Liverpool City Region Combined Authority's October 2017 Long Term Rail Strategy document outlined a proposal to introduce passenger services on the Bootle Branch into Lime Street, noting on page 37: "An initial study is required to understand fully the freight requirements for the line and what the realistic potential for operating passenger services over the line is."[24] It was announced in December 2019 that Liverpool City Council had commissioned a feasibility study to explore reopening line to passenger traffic.[56]

North Mersey Branch

The North Mersey Branch from Bootle to Aintree is currently used exclusively by engineering trains accessing Merseyrail tracks. Merseytravel aims to reopen and electrify this line in the long term.[20][27] According to the Merseyside Route Utilisation Strategy (RUS), reopening the line is not currently recommended, although future development and regeneration could increase demand for these services. The RUS noted that any implementation must ensure that freight needs, both current and future, are met. Additionally, there may be long-term potential to use other infrastructure, such as the disused Wapping and Waterloo tunnels, to create new travel opportunities.[53]

The original now demolished Skelmersdale station. The track was lifted in 1963.
Outer Rail Loop
West Derby station on the North Liverpool Extension Line, planned to be part of the Outer Loop

The Orbital Outer Rail Loop was part of the original Merseyrail plans in the 1970s, designed to circle the outer edges of Liverpool using existing rail lines. Liverpool's semi-circular layout has the city centre on its western edge by the River Mersey. The loop's western section, paralleling the river through the city centre, was the only part completed and now forms part of the Northern Line.

The concept of using the former Cheshire Lines Committee's North Liverpool Extension Line[57] through the eastern suburbs dates back to before WWII. The proposal was a 'belt' line using the former Liverpool Overhead Railway, which ran along the river front, as its western section. The idea evolved in the 1960s into the Outer Rail Loop, a rapid-transit line combining new and existing electrified lines with a tunnel under the city centre. This would have allowed passengers from eastern and southern mainline routes to transfer at two parkway interchange stations, including Liverpool South Parkway, which opened three decades after the original proposal. The proposal would have allowed passengers to reach suburbs without entering the city centre, easing congestion at Lime Street station.

The Outer Loop aimed to connect eastern suburbs like Gateacre, Childwall, Broad Green, Knotty Ash, West Derby, Clubmoor, and Walton with the city centre.[12] The final plan featured two sub-loops for the northern and southern suburbs, providing direct city centre access from the east. However, the eastern section was cancelled in the late 1970s due to delays, cost overruns, and political opposition, with only the western section completed. The eastern section now forms the Liverpool Loop Country Park, a walking and cycling trail.

The project was abandoned as a working proposal by Merseytravel in the 1980s. Much expense was incurred in constructing a large bridge taking the M62 motorway over the eastern section and the construction of header tunnels south of Liverpool Central station. The route is still largely intact, complete with bridges, although now the eastern section mainly forms the Liverpool Loop Country Park – a walking and cycling trail through the suburbs.

The key components of the Loop were as follows:

  • West Section: Existing Northern Line from Sandhills (later Aintree) to Hunts Cross, including the costly Link Line tunnel under the city centre.
  • East Section: Former CLC North Liverpool Extension Line from Hunts Cross to Aintree, now a country park.
  • North Section: Originally from Walton to Kirkdale, later from Aintree to Bootle via the North Mersey Branch, with the latter still used for maintenance trains.
  • Central Section: From Central station to Broad Green, dividing the loop into north and south sub-loops, with a proposed but unrealised Edge Hill Spur scheme. A major junction was to have been formed with the eastern section of the Outer Loop with a six platform underground station to be named Rocket under the car park of the Rocket pub near the M62/Queens Drive road junction.

The loop was to use a double track with a 750 V DC third rail system. Although not officially revived, the route remains safeguarded, with occasional calls to revive parts of it, such as the stretch from Hunts Cross to Gateacre. Recent strategy documents have mentioned reopening the North Mersey Branch for passenger service between Bootle and Aintree with stations to serve Ford and Girobank.[12]

Edge Hill Spur (reusing tunnels)
Victoria/Waterloo Tunnel portal at Edge Hill Station. The tunnel is an option for the Edge Hill Spur scheme.

In the 1960s and early 1970s, the Edge Hill Spur scheme was proposed to link Liverpool's eastern suburbs with the central underground section of Merseyrail. The plan involved extending the network from Liverpool Central Station to Edge Hill Station using existing freight tunnels. Although the scheme was eventually dropped, construction of junctions and two header tunnels south of Central station was completed during the Northern Line tunnel construction to allow for the Spur's future development.[58]

The Edge Hill Spur aimed to connect the City Line branches from Liverpool's east into the electrified Merseyrail network, enhancing network integration and connectivity. By diverting local trains entering from the east underground, it would have freed platform space at Lime Street station for mid and long-haul routes. Initially, the plan was to reuse the 1829 Wapping freight tunnel, creating two new single-track tunnels branching from the Northern Line at Liverpool Central South Junction. This would have provided access to Edge Hill via the historic Cavendish cutting, built for the 1830 Liverpool and Manchester Railway. A flyover east of Edge Hill Station would have connected to the City Line, although this flyover has since been demolished.

In the early 1970s, Liverpool City Council proposed an alternative route, which was adopted. This revised plan included constructing a new underground station near Liverpool University, behind the Student's Union building in Mount Pleasant. The new tunnels would curve north, passing beneath the mainline Lime Street station approach and accessing Edge Hill via the Waterloo/Victoria Tunnel. This route would emerge at Edge Hill Station on the north side of the main lines, eliminating the need for a flyover.[12]

Although the 1975 Merseyside Metropolitan Railway Act granted powers to build this line, construction was postponed due to financial cutbacks and political opposition, which also halted the Outer Rail Loop project. The eastern part of Liverpool has suffered from reduced connectivity ever since. Attempts to revive the project in the mid-1980s were found to be financially unviable. After the collapse of the Merseytram scheme in 2006, there were renewed proposals to revive the Spur, and the route remains safeguarded[59] in MerseyTravel's 30-year plan.[20]

In 2016, Liverpool's then mayor Joe Anderson proposed resurrecting the Edge Hill Spur with a new station at Paddington Village, as part of expanding Liverpool's Knowledge Quarter.[60] A feasibility study commissioned in May 2016 found that the Wapping Tunnel, though suffering from flooding in places, was in good condition and the concept of reopening it was viable with some remedial work required.[10]

References

  1. ^ "The Story of Merseyrail | Edge Hill Station". edgehillstation.co.uk. Retrieved 2 January 2024.
  2. ^ "Liverpool Merseyrail". UrbanRail. Archived from the original on 6 August 2020. Retrieved 21 July 2009.
  3. ^ a b "Merseyrail Trains History". Merseyrail. Archived from the original on 8 September 2008. Retrieved 20 July 2009.
  4. ^ "Birkenhead Monks Ferry". Disused Station. Retrieved 21 July 2009.
  5. ^ "Merseyside Area land use Transportation study (MALTS) project report. | The National Archives". Discovery.nationalarchives.gov.uk. Archived from the original on 6 January 2021. Retrieved 23 July 2016.
  6. ^ "Liverpool City Centre Plan - City Centre Planning Group, 1965"
  7. ^ "Disused Stations: Meols Cop Triangle & Electric Car Sheds". www.disused-stations.org.uk.
  8. ^ a b Couch, Chris (2003). City of change and challenge: urban planning and regeneration in Liverpool. Aldershot: Ashgate. ISBN 978-1-84014-857-2
  9. ^ a b Maund, T.B. (2001). Merseyrail electrics: the inside story. Sheffield: NBC Books. OCLC 655126526.
  10. ^ a b "Archived copy" (PDF). Archived from the original (PDF) on 3 March 2018. Retrieved 3 March 2018.{{cite web}}: CS1 maint: archived copy as title (link)
  11. ^ "OPSI Statutory Instrument 2003 No. 1696". OPSI. Retrieved 21 July 2009.
  12. ^ a b c d e Maund, T.B. (2001). Merseyrail electrics: the inside story. Sheffield: NBC Books. OCLC 655126526.
  13. ^ "Liverpool Central High Level". Disused Station. Retrieved 21 July 2009.
  14. ^ "UK's first battery-powered fleet hits the tracks". BBC News. 5 October 2023. Retrieved 17 October 2023.
  15. ^ clare.barber@liverpoolcityregion-ca.gov.uk (3 October 2023). "Next Stop: Headbolt Lane – £80m station served by UK's first battery powered trains to open this week | Liverpool City Region Combined Authority - News". Liverpool City Region Combined Authority. Retrieved 15 October 2023.
  16. ^ "Disused Stations: Upton-by-Chester Station". www.disused-stations.org.uk. Retrieved 27 August 2024.
  17. ^ Davies, Helen (7 June 2014). "Sefton council to build 370 homes and a new station in Maghull on land earmarked for prison". Liverpool Echo. Retrieved 28 August 2024.
  18. ^ "Headbolt Lane Station Frequently Asked Questions". Knowsley News. 4 February 2022. Retrieved 5 February 2022.
  19. ^ "Liverpool Baltic Merseyrail station: Virtual reality to show plans". www.bbc.com. 20 May 2024. Retrieved 28 August 2024.
  20. ^ a b c d e f Shennan, Paddy (28 August 2014). "Merseytravel plan to open or reopen host of new stations". Liverpool Echo. Retrieved 30 August 2014.
  21. ^ a b "Battery-powered trains part of Merseyrail expansion plan". BBC News. 15 July 2021.
  22. ^ Metro Class 777 IPEMU – Merseytravel, Liverpool (UK) (PDF). Bussnang: Stadler Rail Group. 6 September 2022. MMER_IPEMU0922e. Archived (PDF) from the original on 28 December 2022. Retrieved 28 December 2022.
  23. ^ "Liverpool City Region Strategic Rail Study - Continuous Modular Strategic Planning" (PDF). Network Rail. October 2020. Archived from the original (PDF) on 24 December 2022.
  24. ^ a b c d "Archived copy" (PDF). Archived from the original (PDF) on 7 November 2017. Retrieved 17 May 2018.{{cite web}}: CS1 maint: archived copy as title (link)
  25. ^ a b "New Trains". www.merseyrail.org. Archived from the original on 20 August 2021. Retrieved 8 December 2023.
  26. ^ McDonough, Tony (15 July 2021). "Battery breakthrough will see Merseyrail network extended". Liverpool Business News. Retrieved 15 July 2021.
  27. ^ a b "Welcome to the TravelWise Merseyside website" (PDF). transportmerseyside.org. Archived from the original (PDF) on 28 January 2022.
  28. ^ a b c "Network RUS Electrification" (PDF). October 2009. Archived from the original (PDF) on 12 October 2014. Retrieved 20 October 2013.
  29. ^ a b c Rudgard, Olivia (5 March 2015). "Two Merseyside lines prioritised for electrification". Liverpool Echo. Retrieved 27 November 2015.
  30. ^ a b "Priority electrification routes sent to Government". North West Place. 6 March 2015. Archived from the original on 6 January 2021. Retrieved 12 January 2017.
  31. ^ "Battery breakthrough will see Merseyrail network extended". Liverpool Business News. 15 July 2021.
  32. ^ "Operators call for new rail lines". BBC News. 15 June 2009. Archived from the original on 16 June 2009. Retrieved 15 June 2009.
  33. ^ "Connecting Communities – Expanding Access to the Rail Network" (PDF). London: Association of Train Operating Companies. June 2009. Retrieved 7 September 2018.
  34. ^ "Skelmersdale Station". Disused Stations. Archived from the original on 6 January 2021. Retrieved 5 February 2015.
  35. ^ "Skelmersdale Rail Link" (PDF). Merseytravel. Archived from the original (PDF) on 8 December 2015. Retrieved 27 November 2015.
  36. ^ Lopez, Jamie (10 April 2020). "Government boost to reopen Skelmersdale rail link". LancsLive.
  37. ^ "Preferred site for Skelmersdale's first railway station revealed". BBC News. 2 February 2017. Retrieved 2 February 2017.
  38. ^ Lopez, Jamie (8 July 2022). "Skelmersdale rail station plan rejected in decision branded a 'cruel joke'". LancsLive. Retrieved 17 July 2022.
  39. ^ "Borderlands Line Route" (PDF). Borderlands Line. Archived from the original (PDF) on 19 May 2014. Retrieved 9 June 2013.
  40. ^ "Transport for Wales announces Wales and Borders preferred bidder". www.keolisamey.cymru. Archived from the original on 27 June 2018. Retrieved 11 June 2018.
  41. ^ "Vivarail to supply hybrid D-Train fleet in first train deal for new Wales franchise". Rail Technology Magazine. Archived from the original on 6 January 2021. Retrieved 11 June 2018.
  42. ^ "Vivarail and Hoppecke announce long-term supply of batteries for Class 230s - Vivarail". Archived from the original on 6 January 2021. Retrieved 15 January 2019.
  43. ^ "Long-term planning – Network Rail". www.networkrail.co.uk. Archived from the original on 4 November 2018. Retrieved 4 November 2018.
  44. ^ Hughes, Owen (10 June 2018). "This is what the new rail franchise will mean for North Wales train passengers". Liverpool Daily Post. Archived from the original on 6 January 2021. Retrieved 11 June 2018.
  45. ^ "Battery-powered trains part of Merseyrail expansion plan". BBC News. 15 July 2021.
  46. ^ Integrated Rail Plan for the North and Midlands (PDF). London: Department for Transport. November 2021. ISBN 978-1-5286-2947-8.
  47. ^ Lancashire and Cumbria Route Utilisation Strategy Archived 7 June 2011 at the Wayback Machine, Network Rail.
  48. ^ "Transport debate in Parliament: Railway Expansion". House of Commons. 27 April 2011. Retrieved 25 August 2024.
  49. ^ "Liverpool City Region Combined Authority, Long Term Rail Strategy" (PDF). October 2017. p. 40. Archived from the original (PDF) on 22 December 2018. Retrieved 21 December 2018.
  50. ^ "Merseytravel Committee Rail Development And Delivery" (PDF). Merseytravel. Archived from the original (PDF) on 20 December 2016. Retrieved 6 December 2016.
  51. ^ "Disused Stations: Canada Dock Station". subbrit.org.uk. Archived from the original on 6 January 2021. Retrieved 23 September 2005.
  52. ^ a b Rail Electrification Document, Department for Transport.
  53. ^ a b Merseyside Route Utilisation Strategy Archived 7 April 2009 at the Wayback Machine. Network Rail.
  54. ^ "Balfour Beatty wins second phase electrification contract in UK". Railway Technology. 11 October 2012. Archived from the original on 6 February 2015. Retrieved 5 February 2015.
  55. ^ Johnson, Mark (15 November 2011). "Liverpool £210m River Mersey terminal to go ahead after dredging permission given". Liverpool Daily Post. Archived from the original on 26 February 2012. Retrieved 1 January 2019.
  56. ^ Tyrrell, Nick (17 December 2019). "Work starts to figure out if Anfield train station could be built". Liverpool Echo. Archived from the original on 6 January 2021. Retrieved 22 December 2019.
  57. ^ Cheshire Lines Committee Lines: North Liverpool Extension Line, Southport and Cheshire Lines Extension Railway, Garston and Liverpool Railway. General Books LLC. 2010. ISBN 978-1-158-35627-0.
  58. ^ "Eighth wonder". Rail Engineer. 21 October 2016. Archived from the original on 15 August 2018. Retrieved 4 November 2018.
  59. ^ Coligan, Nick (17 July 2006). "The trams are dead, long live the train". Liverpool Echo. Archived from the original on 16 May 2011. Retrieved 10 September 2008.
  60. ^ Neild, Larry (13 June 2016). "REVEALED: Liverpool set to get its own Paddington station". Liverpool Confidential. Retrieved 15 June 2024.