Robert Mueller Municipal Airport

Robert Mueller Municipal Airport
Former airport entrance
Summary
Airport typeDefunct
OwnerCity of Austin
ServesGreater Austin
LocationMueller, Austin, Texas, U.S.
OpenedOctober 14, 1930 (1930-10-14)
ClosedJune 22, 1999 (1999-06-22)
(general aviation)
Passenger services ceasedMay 22, 1999 (1999-05-22)
Hub forConquest Airlines (1989–1997)
Elevation AMSL632 ft / 193 m
Coordinates30°18′00″N 097°42′00″W / 30.30000°N 97.70000°W / 30.30000; -97.70000
Maps
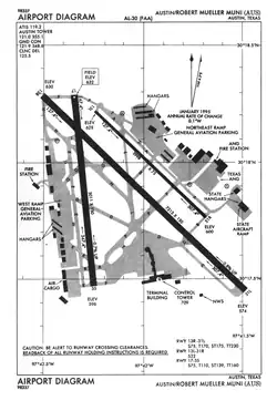
FAA airport diagram
FAA airport diagram
AUS is located in Texas
AUS
AUS
Location within Texas
AUS is located in the United States
AUS
AUS
AUS (the United States)
Runways
Direction Length Surface
ft m
13R/31L 7,269 2,216
17/35 5,006 1,526
13L/31R 3,171 967
Statistics (1998)
Passengers6,066,000
Source: FAA Airport Diagram[1]

Robert Mueller Municipal Airport (IATA: AUS, ICAO: KAUS, FAA LID: AUS) was the first city-owned airport built in Austin, Texas, United States. It was located four miles (6 km) northeast of downtown. The facility opened in October 1930 and was named for Robert Mueller, a city councilor who had died three years earlier. A new terminal was inaugurated in 1961. In May 1999, Mueller was replaced by Austin–Bergstrom International Airport, which is situated on the site of the former Bergstrom Air Force Base.

History

Austin voters passed a bond issue to fund a municipal airport in May 1928.[2] The airport was constructed four miles (6 km) northeast of downtown on what was then the edge of the city.[3][4] A 1,000-foot (300 m) runway and small terminal were built on a 175-acre site.[5] The airport began operations on October 14, 1930.[6] It was named after Robert Mueller, a city commissioner who had died in office in January 1927.[7][8][a] Passenger flights were available from the beginning; Texas Air Transport had begun service to Austin in 1929, initially flying into a privately owned airfield.[10] The seat of the state government and home of the University of Texas at Austin, the city soon attracted more flights. By 1931, Mueller Airport was served by three airlines.[11] A second runway was added in 1937.[12]

During World War II, the airport was busy. Due to congestion at Del Valle Army Air Base, which had opened southeast of downtown Austin in 1942, some trainees practiced landing Douglas C-47s at Mueller. Air traffic also included commercial flights, private pilots, and students in the Civilian Pilot Training Program at the University of Texas.[13] In 1942, a building that was originally intended for a flying school was repurposed as the new passenger terminal,[14] and the airport's first air traffic control tower was built atop it.[13]

Expansions

In the 1950s, airport traffic increased as the city grew and more people traveled by air, putting a strain on the terminal. In addition, Mueller needed longer runways to handle heavier and faster aircraft like the Douglas DC-4. Therefore, officials initiated an expansion project.[15][16] The main runway was lengthened and equipped with new lighting, and a new passenger terminal and control tower were built.[15] The tower was known for its alternating light-blue and dark-blue porcelain panels.[7] The terminal opened in April 1961.[15] The following month, the two structures were dedicated in a ceremony attended by Vice President Lyndon B. Johnson and Austin mayor Lester Palmer.[7][15]

The April 1957, OAG lists 33 weekday departures on three airlines: fifteen on Braniff International Airways, ten on Trans-Texas Airways (TTa) and eight on Continental Airlines. Nonstop flights did not reach beyond San Antonio, San Angelo, Dallas Love Field or Houston Hobby Airport.

The jet age arrived in Austin in April 1965 when Braniff International introduced BAC One-Elevens on its flight to Amarillo via Dallas and Lubbock.[17] Two years later, Browning Aerial Service, a fixed-base operator at Mueller, started a charter flight to Marfa as a faster way for employees of the Department of Astronomy at the University of Texas to reach the McDonald Observatory.[18] Three aviation units of the Texas National Guard shifted to Mueller from Camp Mabry in 1970.[19]

In the 1970s, problems with Mueller led the city to contemplate building a new airport. Mueller was surrounded by housing and businesses, and plane crashes had occurred in the vicinity.[20][21] The facility was also becoming congested, and its airspace overlapped with that of the air base, now known as Bergstrom Air Force Base.[21] Where to relocate the aging Mueller would become a perennial issue in Austin politics.[22]

A series of expansions took place. A project completed in 1976 included jetways, a larger baggage claim, and a second instrument landing system.[23] Five gates were added in 1983.[24] In 1990, officials unveiled a new section of the terminal that provided four more gates and extra ticket counters. A new air-cargo facility was erected as well.[25]

Passenger counts rose as a result of airline deregulation and the growth of Austin's high-tech economy.[26] As of 1979, the airport was served by nine carriers that flew to eleven cities, including two outside Texas (Atlanta and Washington, D.C.).[27] A commuter carrier named Conquest Airlines moved its headquarters from Beaumont to Austin in 1989. The airline linked its hub at Mueller to five destinations in Texas as of 1993.[28]

In August 1980, Hurricane Allen gave rise to a tornado that struck Mueller, destroying hangars and aircraft of the fixed-base operator Ragsdale Aviation. The passenger terminal was unaffected, and no one was killed.[29][30]

Airport Tower November 2016
The former control tower on the southern edge of Mueller in November 2016

Closure and replacement

Officials were planning to relocate the airport to Manor when the Department of Defense announced in 1990 that it advised closing Bergstrom Air Force Base, opening another possibility.[31] The closure was approved in 1991. In 1993, Austin residents voted to convert the base into the city's new civilian airport.[32] Bergstrom ceased operations as an active base that year and as a reserve base in 1996.[33] Work on the new facility commenced in 1995. The 12,250-foot (3,730 m) runway was returned to serviceable condition. Buildings at the site were sold or demolished, and a terminal building, second runway, and traffic and parking infrastructure were built in their place.[32]

In its final years, Mueller was operating beyond its capacity.[34] As of 1997, 10 airlines served 27 destinations from the airport, 15 of which were outside the state.[35] Conquest Airlines shut down in 1997, and the following year former executives of the company launched a new regional airline, Austin Express.[36][37] From January to October 1998, Aerolitoral flew the first international route from Austin to Monterrey, Mexico.[38][39] The airport handled 6.1 million passengers in 1998.[40]

Robert Mueller Municipal Airport's commercial service ended on May 22, 1999, when a Continental Airlines Boeing 737 bound for Albuquerque pushed back from the gate at 21:54.[41] Austin-Bergstrom International Airport opened the next day.[42] General-aviation activities at Mueller were scheduled to end on June 22; however, some departures were delayed due to weather.[43]

Redevelopment as Mueller community

In 2004, the city approved a development plan to transform the land that once housed the airport into the new community of Mueller. People began settling in the neighborhood in 2007.[44] The airport's control tower was preserved and restored in response to the local community's desire to keep the iconic 1961 structure.[45] The view of the Texas State Capitol from the base of the tower became one of the Capitol View Corridors protected under state and local law from obstruction by tall buildings in 1983, though redevelopment of the Mueller subdivision is exempt from the regulation.[46]

Robert Mueller Municipal Airport also left behind 20 acres of hangars that the city leased to the Austin Film Society. The organization converted the hangars into soundstages and opened Austin Studios, a film production facility, in 2000.[47]

Facilities

Mueller Airport occupied 711 acres (3 km2) and was owned and operated by the Department of Aviation of the City of Austin.[34][40] There were three runways, the longest of which measured 7,269 feet (2,216 m). The passenger terminal had 16 gates. The Texas National Guard trained helicopter pilots at Mueller, and the Texas State Aircraft Pooling Board operated facilities for government planes.[40]

References

Notes
  1. ^ The politician pronounced his last name /ˈmɪlər/. According to his son, Austin residents initially pronounced the airport's name that way, but as the city grew new pronunciations arose, such as /ˈmjuːlər/.[9]
Citations
  1. ^ "NTSB Special Investigation Report: Runway Incursions at Controlled Airports in the United States" (PDF). National Transportation Safety Board. May 6, 1986. p. 64. Retrieved July 22, 2016.
  2. ^ Ragsdale 2004, pp. 63–64: "To fund this [...], the city commissioners submitted a $4.2 million bond issue to the voters that included $75,000 to purchase land for an airport. [...] the big winner was the municipal airport with 4,501 votes for and 2,032 against."
  3. ^ "History of Aviation in Austin". Austin-Bergstrom International Airport. Archived from the original on August 27, 2007. Retrieved April 4, 2025.
  4. ^ Ragsdale 2004, p. 66
  5. ^ Ragsdale 2004, pp. 65–67
  6. ^ Ragsdale 2004, p. xi: "Austin was no exception; Robert Mueller Municipal Airport opened on October 14, 1930."
  7. ^ a b c Slate 2012, p. 21
  8. ^ "Why was Austin's first municipal airport named Mueller Airport?". Austin Public Library. Archived from the original on February 3, 2015. Retrieved February 3, 2015.
  9. ^ Rucker, Ellie (November 27, 1985). "Say it Miller, not Mule-ler". Austin American-Statesman. p. E1.
  10. ^ Ragsdale 2004, pp. 61, 70: At the time, Mueller was the only municipal airport in Austin, as the other airfields in town were not owned or operated by the city.
  11. ^ Ragsdale 2004, pp. 70–71
  12. ^ Ragsdale 2004, p. 84
  13. ^ a b Ragsdale 2004, pp. 110–113
  14. ^ Ragsdale 2004, pp. 106–107
  15. ^ a b c d Ragsdale 2004, pp. 135–139
  16. ^ Kelley, Mike (May 22, 1999). "A splendid history, a last goodbye". Austin American-Statesman. pp. A1, A10.
  17. ^ "First jet flight due for Austin". Austin American-Statesman. April 24, 1965. p. 23. Retrieved May 2, 2025.
  18. ^ Ragsdale 2004, p. 153
  19. ^ Ragsdale 2004, p. 150
  20. ^ "Manor Airport". The Austin Chronicle. July 4, 2003. Retrieved November 12, 2020.
  21. ^ a b Ragsdale 2004, pp. 156–160
  22. ^ Eskenazi, Stuart (May 2, 1993). "Voters say Bergstrom is the only way to fly". Austin American-Statesman. Austin, TX. p. A1.
  23. ^ Ragsdale 2004, pp. 169–170
  24. ^ Ladendorf, Kirk (July 10, 1983). "Airport under pressure". Austin American-Statesman. pp. A1, A16.
  25. ^ Ragsdale 2004, pp. 190, 193–194
  26. ^ Ragsdale 2004, pp. 194–195
  27. ^ http://www.departedflights.com, Nov. 15, 1979 Official Airline Guide
  28. ^ Breyer, R. Michelle (October 3, 1993). "Taking wing". Austin American-Statesman. pp. G1, G6.
  29. ^ Albert Ramon (May 13, 2011). "Remembering the 1980 tornado". KVUE Television, Inc. Archived from the original on August 30, 2011. Retrieved July 6, 2012.
  30. ^ Ragsdale 2004, p. 180
  31. ^ Daniel, Kelly (May 16, 1999). "New airport's history full of detours". Austin American-Statesman. pp. H1, H5.
  32. ^ a b Ragsdale 2004, pp. 196–200
  33. ^ "For Austin, Texas, Old Air Force Base Becomes City Airport". The Wall Street Journal. May 24, 1999. ProQuest 398646785.
  34. ^ a b Lyman, Rick (April 11, 1999). "Austin, in the Big Time, Gets an Airport to Match". The New York Times. p. 3.
  35. ^ "Airlines Serving Austin". Official Airline Guide: North American Flight Schedules. April 6, 1997. Retrieved June 29, 2025.
  36. ^ Breyer, R. Michelle (December 28, 1997). "Austin lands new nonstop flight service". Austin American-Statesman. p. J2.
  37. ^ Breyer, R. Michelle (June 27, 1998). "Commuter airlines find Austin a tough market". Austin American-Statesman. pp. D1, D3.
  38. ^ Breyer, R. Michelle (November 26, 1997). "Austin gets direct flight to Mexico". Austin American-Statesman. pp. D1, D10.
  39. ^ Hiott, Debbie (November 18, 1998). "Airline cancels flights to, from Monterrey". Austin American-Statesman. pp. C1, C3.
  40. ^ a b c "Robert Mueller Municipal Airport". Austin City Connection. February 17, 1999. Archived from the original on February 18, 1999. Retrieved July 4, 2025.
  41. ^ Quin, Leah; Roser, Mary Ann (May 23, 1999). "At 21:54, Mueller airport sends last flight on its way". Austin American-Statesman. pp. A8, A9.
  42. ^ "Austin aviation gets new home at converted air base". Lubbock Avalanche-Journal. Associated Press. May 24, 1999. Archived from the original on February 3, 2015.
  43. ^ Walter, Erin J. (June 23, 1999). "Private pilots say farewell as Mueller airport flights end". Austin American-Statesman. p. B2.
  44. ^ Novak, Shonda (August 6, 2023). "With final approach on the horizon, remake of Austin's former Mueller airport powers ahead". Austin American-Statesman. Retrieved July 11, 2025.
  45. ^ Harrell, Barry (July 30, 2010). "At Mueller, defunct control tower heading toward retro restoration". Business. The Austin American-Statesman. pp. B7, B8.
  46. ^ "Downtown Development and Capitol View Corridors" (PDF). Downtown Austin Commission. June 27, 2007. Retrieved November 10, 2017.
  47. ^ Whittaker, Richard (February 28, 2020). "20 Years of Austin Studios". The Austin Chronicle. Retrieved July 11, 2025.
Sources